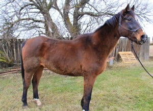
Cavalier

This is Mr. Cavalier, a very tall and handsome TB gelding. Cavi is a 22 year old boy that has a lot of trail experience. He walks right into the horse trailer, is great for the farrier, and is good in the herd. He would make a great  riding partner for a person that likes a big horse. Cavi has found his forever home


NameBreedAgeSexHeightLevel of TrainingAdoption Fee
CavalierTB22Male~17 hSaddle Broke

 

cavi2

cavi4 cavi1